Pulte Homes

Pulte Homes hired Davey Resource Group Engineering to perform site planning, civil engineering, and surveying services to prepare residential lots for development in the Arbor Chase subdivision.

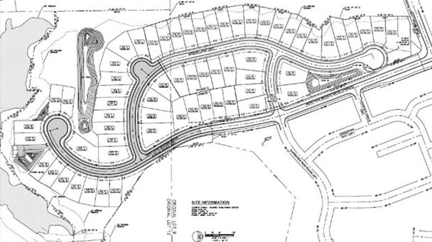
Project Narrative:

Arbor Chase is a 63-lot subdivision located in Copley, OH. Pulte Homes hired Davey Resource Group (DRG) Engineering to perform site planning, civil engineering, and surveying services for the development of all residential lots within this subdivision. This project included the installation of new roadways, 2,500 linear feet of water lines, storm sewers, gravity sanitary collection system, a sanitary pump station, and 1,800 linear feet of sanitary sewer force main. Additionally, DRG designed several stormwater best management practices (BMP) in compliance with local, state, and federal regulations.

Key Features:

  • Smaller lots and high-density development
  • Riparian setbacks
  • Balanced lot grading
  • Stormwater management
  • Gravity sewers & regional pump station

>> Learn more about our Ohio Engineering team

Related Client Work

IMG 3455
Residential/Mixed Use

Davey Constructs Playground Areas For Chesapeake, VA Apartments

Davey’s adaptable and diverse professionals constructed two playgrounds at two apartment complexes in the Chesapeake, VA area.
Read More
Completed Stream Restoration
Residential/Mixed Use

Davey Resource Group Restores Portion Of Little Six Mile Creek In Ithaca, NY

DRG oversaw the restoration of a portion of Little Six Mile Creek on a private residential property. The restoration involved excavating a new channel, seeding with approved grass and wetland seeds, and planting shrubs. The project was completed successfully and will undergo ongoing monitoring.
Read More
Two Employees (1)
Two Employees (1)

Get In Touch With Us!

We pride ourselves at Davey Tree on providing prompt, professional and personalized service from certified arborists that live, work and engage in your community. Contact one of our Davey Tree specialists for your residential, commercial, utility, or environmental needs.

Let's Find What
You're Looking For!